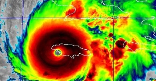
El huracán Melissa tocó tierra este martes en Jamaica con vientos máximos sostenidos cercanos a los 295 kilómetros por hora, lluvias torrenciales y marejadas peligrosas que amenazan con causar inundaciones y daños devastadores.
El Centro Nacional de Huracanes de Estados Unidos (NHC, por sus siglas en inglés) describió el impacto como “uno de los más potentes registrados en la cuenca del Atlántico”.
El ciclón, el de mayor intensidad en la temporada, ingresó por el suroeste de la isla, cerca de New Hope, convertido en un huracán de categoría 5.
La trayectoria prevista mantiene su intensidad extrema en los próximos días, con un cruce por el sureste de Cuba el miércoles y un posible toque en Bahamas el jueves. Es el primer huracán que llega al Atlántico como categoría 5 desde 2019, cuando Dorian devastó Bahamas.
El NHC advirtió que Melissa trae consigo “vientos catastróficos” y urgió a la población jamaicana a buscar refugio de manera inmediata, ante una situación “extremadamente peligrosa y que amenaza la vida”. El fenómeno avanza lentamente hacia el nornoreste, a unos siete kilómetros por hora, lo que aumenta el riesgo de daños prolongados sobre tierra.
Las autoridades estiman que las lluvias acumuladas podrían alcanzar hasta un metro en algunas zonas, provocando inundaciones repentinas y deslizamientos de tierra generalizados.
La Federación Internacional de Sociedades de la Cruz Roja y de la Media Luna Roja alertó que 1.5 millones de personas podrían resultar afectadas en Jamaica, advirtiendo de un impacto “masivo”.
Advierten que es más fuerte que Katrina
Melissa supera la fuerza que alcanzó el huracán Katrina en 2005, cuando arrasó el sur de Estados Unidos. El gobierno de Jamaica pidió a la población mantenerse en refugios seguros, ante vientos con potencial de causar “fallos estructurales totales”, especialmente en áreas montañosas donde podrían intensificarse hasta un 30 por ciento.
El NHC mantiene alertas de huracán para toda Jamaica, las provincias orientales de Cuba (Granma, Santiago de Cuba, Guantánamo y Holguín), así como para las Bahamas centrales y del sureste. Haití, Las Tunas (Cuba) y las islas Turcos y Caicos permanecen bajo aviso de tormenta tropical.
Hasta el momento, se reportan al menos nueve personas fallecidas por los efectos del ciclón: tres en Jamaica, tres en Haití, dos en Panamá y una en República Dominicana.
Aunque Melissa es el tercer huracán categoría 5 del Atlántico en lo que va de temporada (tras Erin y Humberto), es el primero que impacta directamente en tierra.
Información. Reporte Índigo.

